Đối với những người nuôi thú cưng chắc hẳn đều hiểu được mức độ nguy hiểm của những bệnh xương khớp trên chó. Những bệnh này tuy không ảnh hưởng trực tiếp đến tính mạng của thú cưng nhưng nếu không được phát hiện và điều trị kịp thời có thể ảnh hưởng lớn đến sức khỏe và hoạt động bình thường của chúng. Tuy nhiên, để điều trị được các bệnh này cần có sự hiểu biết về nguyên nhân, cách nhận biết triệu chứng từ đó có cách điều trị kịp thời, an toàn và hiệu quả.
I. Hạ bàn do thiếu Canxi
Hạ bàn do thiếu Canxi là một trong những bệnh xương khớp trên chó thường gặp và ảnh hưởng không hề nhỏ đến các hoạt động bình thường của thú cưng:
1. Nguyên nhân và triệu chứng
Bệnh thường bắt đầu ở chó con tầm 1,5 tháng tuổi đến 1,5 tuổi, chó ít được vận động, chế độ ăn thừa tinh bột, thiếu canxi, thiếu nắng, thiếu vận động … đều gây ra hạ bàn, sưng khớp chân, 2 chân trước khuỳnh, ở 1 số con bụng bị nổi ban đỏ, chó vận động kém.
2. Cách điều trị
Bệnh có nguyên nhân chủ yếu do thiếu Canxi và dư tinh bột, do đó cần giảm lượng tinh bột trong khẩu phần ăn, cho ăn thêm canxi, có thể sử dụng các thực phẩm bổ sung Canxi nếu cần thiết. Thường xuyên cho chó phơi nắng và cho chó vận động thường xuyên. Thường khi điều trị tích cực thì chân rất nhanh lên, chỉ tầm 2-3 tuần chân đã lên thẳng như bình thường.
Lưu ý: Sau điều trị 1 tháng mà chó vẫn không có biểu hiện hồi phục hoặc có dấu hiệu nặng hơn, xin vui lòng mang cún đi kiểm tra hàm lượng canxi trong máu, nếu hàm lượng canxi trong máu quá thấp thì có thể cún của bạn bị thêm rối loạn hấp thu khiến cơ thể không hấp thu được canxi trong thức ăn và theo đường uống. Lúc này cần điều trị theo hướng tăng cường khả năng hấp thu kết hợp tiêm hoặc truyền canxi.
II. Hạ bàn do chấn thương vật lý, giảm trương lực cơ
1. Nguyên nhân và triệu chứng
Thường xảy ra ở quá trình chó đang ở giai đoạn tăng cân nhanh (từ 4-10 tháng tuổi). Lúc này đang là giai đoạn phát triển rất nhanh của xương, khớp, dây chằng, dây thần kinh, đồng thời cũng là lúc cún tăng cân mạnh nhất. Khi vận động quá đà, tập quá nặng, đang chạy bị vấp ngã,…. có thể gây ra giảm trương lực cơ, chấn thương cơ khớp…. Triệu chứng dễ thấy nhất là khi cún bị nhốt ở trong chuồng mới ra thì đi rất đẹp, nhưng chỉ chạy nhảy 5 phút sau thì ngón chân sẽ càng ngày càng xòe, vận động thêm 1 lúc sẽ thấy hạ bàn rõ rệt đối với cún bị giảm trương lực cơ, giãn dây chằng. Chó mới được ra chơi thì đi lại, chạy nhảy bình thường, cún chạy nhảy được một lúc thì đi cà nhắc đối với cún bị chấn thương.
2. Điều trị
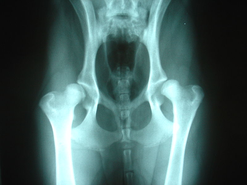
Đầu tiên các bạn nên xét nghiệm máu, chụp x-quang xem xương có bị biến dạng không, có bị thiếu canxi không. Sau khi có kết quả cụ thể thì tùy từng trường hợp mà bác sĩ sẽ đưa ra phương án điều trị hiệu quả nhất. Nên hạn chế vận động mạnh, cơ, khớp bị tổn thương làm giãn, rách dây chằng cần có thời gian nghỉ và thuốc men để phục hồi. Nên nhốt chuồng chỗ đủ sáng phần lớn thời gian để cún ngủ, nằm yên một chỗ, kết hợp một số loại thuốc hỗ trợ điều trị dưới sự hướng dẫn của các bác sĩ.
Lưu ý: Với trường hợp bị chấn thương thì càng cho vận động cún càng bị nặng. Cún cần được nghỉ ngơi nhưng cũng cần được phơi nắng. Thêm vào đó là chế độ dinh dưỡng dinh dưỡng cân đối và hợp lý
III. Hỏng khung xương do viêm đa khớp
1. Nguyên nhân và triệu chứng
Viêm đa khớp có thể do yếu tố di truyền, do vi sinh vật gây bệnh, do môi trường sống ẩm thấp. Triệu chứng rõ ràng nhất là chó vận động nhanh mệt mỏi, biểu hiện khó khăn khi đổi tư thế, một số con sưng khớp, một số con bị hạ bàn, bước chạy không đồng đều, số khác lại không thể chạy bước nhỏ được, bước chạy không đồng đều, bước ngắn bước dài, di chuyển chậm thấy rõ sự cưỡng ép của các khớp. Bắp chân bị tep tóp cũng là một triệu chứng điển hình, có những con người rất to béo nhưng bắp chân sau thì tóp hẳn lại,… Thường khi phát hiện cún có dấu hiệu bất thường thì nên đi khám bác sĩ ngay, để quá lâu có khả năng dẫn đến liệt, hỏng khung xương. Nếu để tình trạng kéo dài, sau khi điều trị dù khỏe lại nhưng dáng chạy, dáng đi vẫn không thể hồi phục như cún khỏe mạnh được
2. Phòng ngừa
Khi bạn mua chó con nên kiểm tra xem chó mẹ có triệu chứng của bệnh viêm đa khớp hay không. Đón chó về nhà cần cho chó nằm phải khô ráo, thường chó con hay thích chui vào xó nhà, góc tối để nằm, nhất là những giống chó lông dài. Khi phát hiện thấy dấu hiệu bệnh kéo dài trên 1 tuần thì đừng hi vọng cún tự khỏi mà nên tìm bác sĩ để điều trị tích cực.
IV. Hỏng khung xương do loạn sản xương hông, loạn sản xương vai
1. Nguyên nhân và triệu chứng
Gần như ai nuôi chó cũng đã từng nghe đến những cụm từ này, đây là một trong những bệnh về xương khớp trên chó thường thấy. Nguyên nhân chủ yếu là do di truyền, một số ít mắc bện do chế độ dinh dưỡng, do môi trường, do vi sinh vật … Triệu chứng thấy rõ nhất là qua dáng đứng, hông hoặc vai khi đứng bị chụm lại thái quá, vận động thấy rõ sự khập khiễng ở hông và khớp đùi, tùy tình trạng năng nhẹ mà cún có thể liệt hẳn hoặc biến dạng hẳn dáng đi chân sau.
2. Điều trị
Với các cún có yếu tố di truyền thì không thể điều trị khỏi, chỉ có thể dùng thuốc giảm đau thuốc hỗ trợ xương khớp vài tháng 1 lần. Với những chó mắc bệnh do tác động từ môi trường cần đưa đến các phòng khám thú y để có những chuẩn đoán chính xác về tình trạng bệnh. Từ đó, đưa ra những phương pháp điều trị an toàn, hiệu quả và tiết kiệm.



